GOTOWA INWESTYCJA POD HALĘ PRODUKCYJNĄ ? GORZYCE WIELKIE
Działka inwestycyjna na sprzedaż, Gorzyce Wielkie, Gorzyce Wielkie
950 000 PLN
158 PLN/m2











Opis
GOTOWA INWESTYCJA POD HALĘ PRODUKCYJNĄ-GORZYCE WIELKIE K/OSTRÓW WIELKOPOLSKI.
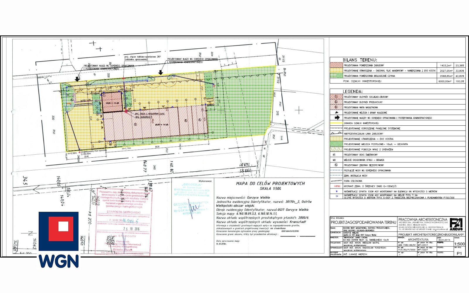
Na sprzedaż atrakcyjny grunt inwestycyjny o powierzchni 0,6000 ha położony w miejscowości Gorzyce Wielkie, tuż pod m. Ostrów Wielkopolski.
NAJWAŻNIEJSZE INFORMACJE:
- Powierzchnia działki: 6 000 m?
- Wymiary: ok. 44 m x 135 m
- Dojazd: bezpośrednio z drogi asfaltowej
- Teren: częściowo ogrodzony płotem z płyt betonowych
- Media w zasięgu: energia elektryczna, wodociąg, kanalizacja deszczowa
- GOTOWY PROJEKT I POZWOLENIE NA BUDOWĘ!
NAJWIĘKSZYM ATUTEM NIERUCHOMOŚCI JEST PRAWOMOCNE POZWOLENIE NA BUDOWĘ, OBEJMUJĄCE:
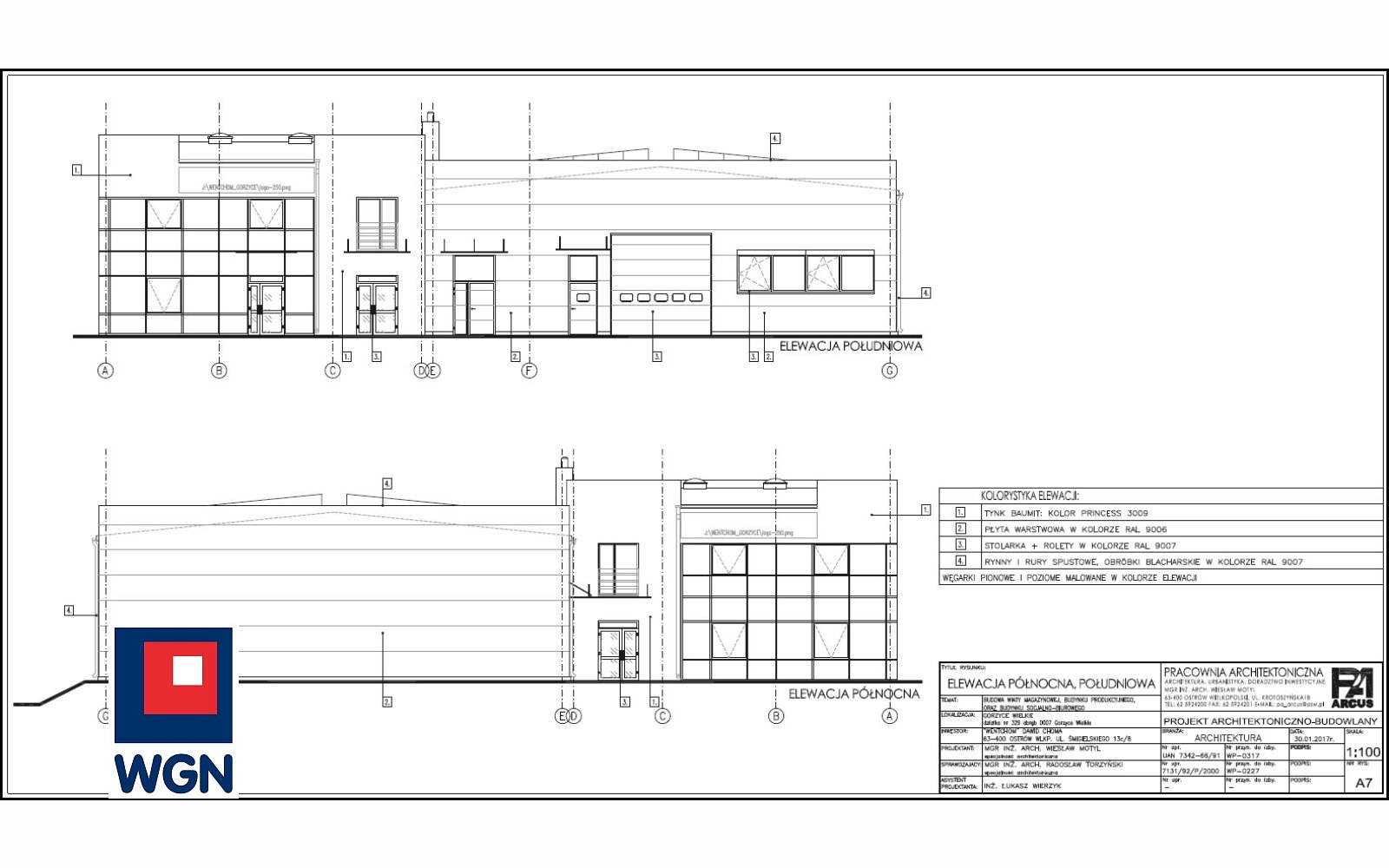
- budynek produkcyjny (hala stalowa - nowoczesna konstrukcja),
- budynek socjalno-biurowy (murowany, dwukondygnacyjny),
- wiatę magazynową.
- Łączna powierzchnia użytkowa obiektów: ok. 1455 m?
To oznacza, że możesz rozpocząć inwestycję praktycznie od zaraz, bez konieczności przechodzenia przez czasochłonne procedury administracyjne.
IDEALNA POD:
- działalność produkcyjną
- magazynowanie i logistykę
- lekką działalność przemysłową
DLACZEGO WARTO ?
- gotowy, przemyślany projekt
- oszczędność czasu i kosztów formalnych
- świetna lokalizacja pod działalność gospodarczą
- dogodny dojazd dla transportu
Skontaktuj się i poznaj szczegóły tej wyjątkowej oferty - to idealna propozycja dla inwestora, który chce działać szybko i efektywnie.
Cena: 950 000 zł, obejmuje grunt oraz całkowitą dokumentację pozwalającą rozpocząć proces inwestycyjny.
Zapraszamy do kontaktu w celu uzyskania szczegółowych informacji 601 829 510 Marcin Kaczmarek.
WGN u nas tylko sprawdzone oferty. Klientom zainteresowanym zapewniamy pełną obsługę i pomoc w doborze oraz uzyskaniu najkorzystniejszego kredytu hipotecznego na zakup , budowę bądź remont nieruchomości. Indywidualnie negocjujemy najlepsze warunki kredytowe. Nasze atuty to przede wszystkim skuteczność i doświadczenie.
Oferta specjalna biura WGN
Dzwoniąc pytaj o numer 102740020 systemu inetWGN
Na sprzedaż atrakcyjny grunt inwestycyjny o powierzchni 0,6000 ha położony w miejscowości Gorzyce Wielkie, tuż pod m. Ostrów Wielkopolski.
NAJWAŻNIEJSZE INFORMACJE:
- Powierzchnia działki: 6 000 m?
- Wymiary: ok. 44 m x 135 m
- Dojazd: bezpośrednio z drogi asfaltowej
- Teren: częściowo ogrodzony płotem z płyt betonowych
- Media w zasięgu: energia elektryczna, wodociąg, kanalizacja deszczowa
- GOTOWY PROJEKT I POZWOLENIE NA BUDOWĘ!
NAJWIĘKSZYM ATUTEM NIERUCHOMOŚCI JEST PRAWOMOCNE POZWOLENIE NA BUDOWĘ, OBEJMUJĄCE:
- budynek produkcyjny (hala stalowa - nowoczesna konstrukcja),
- budynek socjalno-biurowy (murowany, dwukondygnacyjny),
- wiatę magazynową.
- Łączna powierzchnia użytkowa obiektów: ok. 1455 m?
To oznacza, że możesz rozpocząć inwestycję praktycznie od zaraz, bez konieczności przechodzenia przez czasochłonne procedury administracyjne.
IDEALNA POD:
- działalność produkcyjną
- magazynowanie i logistykę
- lekką działalność przemysłową
DLACZEGO WARTO ?
- gotowy, przemyślany projekt
- oszczędność czasu i kosztów formalnych
- świetna lokalizacja pod działalność gospodarczą
- dogodny dojazd dla transportu
Skontaktuj się i poznaj szczegóły tej wyjątkowej oferty - to idealna propozycja dla inwestora, który chce działać szybko i efektywnie.
Cena: 950 000 zł, obejmuje grunt oraz całkowitą dokumentację pozwalającą rozpocząć proces inwestycyjny.
Zapraszamy do kontaktu w celu uzyskania szczegółowych informacji 601 829 510 Marcin Kaczmarek.
WGN u nas tylko sprawdzone oferty. Klientom zainteresowanym zapewniamy pełną obsługę i pomoc w doborze oraz uzyskaniu najkorzystniejszego kredytu hipotecznego na zakup , budowę bądź remont nieruchomości. Indywidualnie negocjujemy najlepsze warunki kredytowe. Nasze atuty to przede wszystkim skuteczność i doświadczenie.
Oferta specjalna biura WGN
Dzwoniąc pytaj o numer 102740020 systemu inetWGN
|
Marcin Kaczmarek
nr licencji: 3784 |
| 601829510, 601829510 |
| marcin.kaczmarek@wgn.pl |
CHCESZ DOWIEDZIEĆ SIĘ WIĘCEJ?
Szczegóły
| Numer oferty | 10274 |
| Typ oferty | Działka inwestycyjna |
| Rodzaj transakcji | Sprzedaż |
| Cena | 950 000 PLN |
| Cena za m2 | 158 PLN |
| Powierzchnia | 6 000 m2 |
| Miejscowość | Gorzyce Wielkie |
| Dzielnica | Gorzyce Wielkie |
| Ulica/Osiedle | Gorzyce Wielkie |
| Województwo | Wielkopolskie |
| Powiat | ostrowski |
| Gmina | Ostrów Wielkopolski |
| Media | gaz |
| Dojazd | asfaltowy |
| Szerokość frontu | 135 m |
Oferta wyświetlona 64 razy
WGN Ostrowskie Centrum Nieruchomości s.c.
Odwiedź nasze biuro i opowiedz nam o Twoich oczekiwaniach!Adres naszego biura
Wrocławska 25, 63-400 Ostrów WielkopolskiZadzwoń do nas
Znajdziemy dla Ciebie interesującą ofertę, która będzie dostosowana do Twoich wymagań.CHCESZ DOWIEDZIEĆ SIĘ WIĘCEJ?